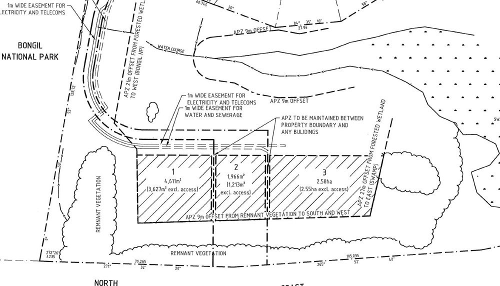
Lot 3 - 2.58 ha Vacant lot for you to design and build your Sawtell dream home.
Sold for $380,000
Lot 3/46 Royal Palm Drive, Sawtell
Profile
Lot 3 - Subdivision is complete and Titles are registered so you can purchase and start building straight away.
All services are provided - sewer point, power, telecoms and access road all works have been completed.
This location offers you plenty of open space for your family to enjoy and would suit buyers wanting a semi-rural outlook and land size, yet still being very close to Sawtell Village and Beach.
Access to this unique parcel of land is via an established housing estate with quality homes in the surrounding area. The property adjoins the Bongil Bongil National Park.
The proposed building envelope provides ample space for a substantial home and there is plenty of room for a pool, tennis court or extra garaging for cars, boats or caravan.
If you need space to accommodate extended family members then you could consider a granny flat or dual occupancy arrangement STCA.
You can secure the land parcel on a 10% deposit.
Rates: $3000 (estimated)
For more details visit sawtellrealestateco.com.au
or phone Barry France 0407 301 404 to arrange an inspection.